 
            
        
        Aunque Melissa estará muy distante del territorio villaclareño es deber profesional, humano y ético del Grupo de Pronósticos del Centro Meteorológico de la provincia (CMP) mantenerse tras los pasos de la furia del huracán.
Ellos laboran los 365 días del año, existan condiciones especiales o no, y en momentos difíciles apenas duermen. Son servidores públicos con lenguaje preciso que calman las tensiones causadas por esos «meteorólogos empíricos» que, a través de redes sociales, crean falsas expectativas con trayectorias erradas. Por ello les corresponde a los expertos contrarrestar, informar y hacerlo bien para orientar y proteger la vida como el mayor tesoro.
 
El máster Amaury Machado Montes de Oca, al frente de los especialistas de pronósticos, precisa que «si la afectación fuera directa habilitaríamos turnos de trabajo dobles, incluidas las estaciones meteorológicas radicadas en los municipios que se activarían cada una hora. Sin dudas, el CMP y sus equipos territoriales serian verdaderamente un hormiguero».
Dado el escenario actual se activan para seguir las precipitaciones, a tenor de que Meteorología ofrece el riesgo y los cambios de las variables meteorológicas paso a paso, pero es muy importante la articulación con múltiples organismos y acciones.
Figura el sistema de la Defensa Civil, pero están los estudios de peligro, vulnerabilidad y riesgo, incluso por zonas y consejos populares, y otras herramientas que tienen los decisores y municipios para aplicarlos según sus particularidades.
«Todo es un sistema de engranaje. Están los consejos de defensa en sus diferentes instancias que al tener un riesgo determinado en los tres factores principales: la lluvia, el viento y el estado del mar determinan los pasos a seguir», explica Machado Montes de Oca.
Y argumenta que en el caso particular de Melissa, lejano de la provincia, le ofrecemos al Consejo de Defensa la marcha de las precipitaciones, mientras Recursos Hidráulicos valora la situación de embalses, su vertimiento y otros objetivos.
 
—La pericia y experiencia de ustedes determina que una simple variación en la dirección del evento hay que seguirla de cerca ¿se interpreta así?
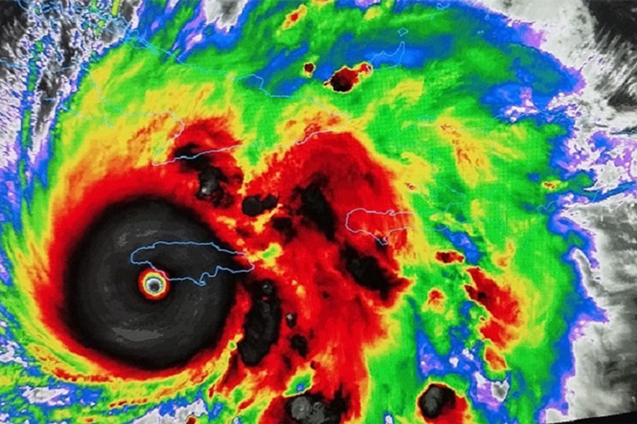
—En cada fase existen determinadas acciones que se ejecutan en dependencia del peligro. Para Meteorología no hay nada que pueda subvalorarse porque una simple variación en la dirección del fenómeno incide en su nivel de afectación. Melissa es un super poderoso huracán que ha llegado a niveles máximos El tercero más intenso de la historia por su valor de presión de 892 hectoPascal.
—¿Cómo influye esta variable?
— Mientras más bajo es su valor no solo indica la velocidad de los vientos, (280 Km/h) si no la magnitud del huracán.
—Aunque Melissa está lejana ¿qué dejaría para Villa Clara?
—Las afectaciones indirectas estarían dadas por las lluvias en dependencia del punto de entrada por el oriente cubano. En cuanto al mar no tendremos incidencias marcadas. Pudiera incrementarse el oleaje, pero no las inundaciones costeras, y en cuanto a los vientos de existir incrementos tampoco resultarían significativos. No hay nadie que conozca mejor el territorio que los propios villaclareños y sus meteorólogos y se conocen los efectos adversos que puedan ocurrir.
Aun así hay que mantenerse informados por las vías oficiales, sobre todo cuidarnos. Melissa no ha tocado aún tierra cubana, y luego de su paso por la zona oriental se espera un descenso de las temperaturas extremas para el fin de semana con un ligero frente frío que llegaría el jueves.
Algunos de los actores ante contingencias meteorológicas
CMP y sus estaciones meteorológicas, Recursos Hidráulicos, Defensa Civil, Consejo de Defensa Provincial y municipales, puntos de alerta temprana, centros de riesgos en cada municipio.
Teléfonos y vías habilitaddas para información a la población (Todas las vías son gratuitas)
— Centro Meteorológico Villa Clara 42- 212121
— Radio Reloj: 80073565
— Radio Rebelde: 80077232
— Emisoras provinciales: 18899
— Acceso aplicación Cubadebate
 
        